Learning

Wild Mustard Plant

Wild Mustard Plant
Wild Mustard Plant

The Wild Mustard Plant, scientifically known as *Sinapis arvensis*, is a ubiquitous and resilient weed that thrives in various environments. This plant, often considered a nuisance in agricultural settings, has a rich history and several interesting characteristics that make it a subject of both curiosity and concern. Understanding the Wild Mustard Plant involves delving into its botanical features, ecological impact, and potential uses.

Botanical Features of the Wild Mustard Plant

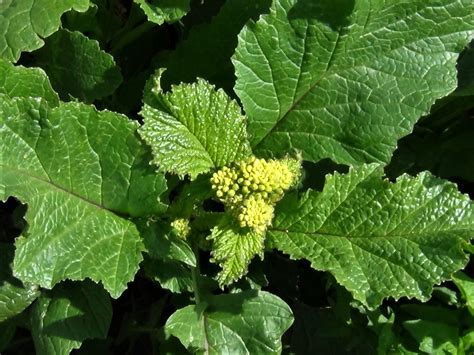
The Wild Mustard Plant is an annual herb that belongs to the Brassicaceae family, which also includes cabbage, broccoli, and radishes. It is characterized by its erect, branching stems that can grow up to 1 meter in height. The leaves are alternate, with lower leaves being lobed and upper leaves being entire and lance-shaped. The flowers are small, yellow, and arranged in clusters at the top of the stem. These flowers are a key identifier, as they are similar to those of other mustard species but are typically more vibrant.

The seeds of the Wild Mustard Plant are small, round, and brown, contained within slender pods that split open when mature. These seeds are a significant factor in the plant's ability to spread rapidly, as they can remain viable in the soil for several years, waiting for the right conditions to germinate.

Ecological Impact of the Wild Mustard Plant

The Wild Mustard Plant is often viewed as an invasive species due to its aggressive growth habits and ability to outcompete other plants for resources. It is particularly problematic in agricultural fields, where it can reduce crop yields by competing for water, nutrients, and sunlight. Additionally, its dense growth can make it difficult for farmers to harvest their crops efficiently.

Despite its negative impacts, the Wild Mustard Plant also plays a role in the ecosystem. It provides habitat and food for various insects and birds, contributing to biodiversity. The plant's flowers are a valuable nectar source for pollinators, including bees and butterflies, which are essential for the pollination of many crops and wild plants.

In some regions, the Wild Mustard Plant is used as a cover crop to improve soil health. Its deep root system helps to prevent erosion and can break up compacted soil, allowing for better water and nutrient penetration. However, its use as a cover crop must be carefully managed to prevent it from becoming invasive.

Cultural and Historical Significance

The Wild Mustard Plant has a long history of use in various cultures. In ancient times, it was cultivated for its edible seeds, which were used to make mustard condiments. The seeds were ground into a paste and mixed with vinegar or wine to create a pungent sauce that was used to flavor food. This practice continues in some regions today, where wild mustard seeds are still harvested and used to make traditional mustard.

In traditional medicine, the Wild Mustard Plant has been used for its medicinal properties. The leaves and seeds are rich in vitamins and minerals, and they have been used to treat a variety of ailments, including respiratory infections, digestive issues, and skin conditions. The plant's anti-inflammatory and antimicrobial properties make it a valuable addition to herbal remedies.

In some cultures, the Wild Mustard Plant is also used in rituals and ceremonies. For example, in ancient Greece, mustard seeds were used in purification rituals, and in some Native American traditions, the plant is used in healing ceremonies. Its symbolic significance varies across cultures, but it is often associated with strength, resilience, and purification.

Management and Control

Managing the Wild Mustard Plant in agricultural settings requires a multi-faceted approach. Mechanical control methods, such as tilling and mowing, can be effective in reducing the plant's population. However, these methods must be used carefully to avoid disturbing the soil and promoting the germination of dormant seeds.

Chemical control methods, such as herbicides, can also be used to manage the Wild Mustard Plant. However, the use of herbicides must be carefully considered, as they can have negative impacts on the environment and non-target species. Integrated pest management (IPM) strategies, which combine mechanical, chemical, and biological control methods, are often the most effective approach.

Biological control methods, such as the use of natural predators and pathogens, can also be effective in managing the Wild Mustard Plant. For example, certain insects and fungi can feed on the plant, reducing its population without the need for chemical interventions. However, the use of biological control methods must be carefully managed to avoid unintended consequences.

Preventive measures, such as crop rotation and the use of cover crops, can also help to manage the Wild Mustard Plant. By rotating crops and using cover crops, farmers can disrupt the plant's life cycle and reduce its ability to establish and spread. Additionally, maintaining healthy soil and using organic fertilizers can help to promote the growth of desirable plants and reduce the need for chemical interventions.

Potential Uses and Benefits

Despite its reputation as a weed, the Wild Mustard Plant has several potential uses and benefits. Its seeds are a valuable source of oil, which can be used in cooking, cosmetics, and industrial applications. The oil is rich in essential fatty acids and has a high smoke point, making it suitable for high-heat cooking. Additionally, the oil has been used in traditional medicine for its anti-inflammatory and antimicrobial properties.

The leaves and stems of the Wild Mustard Plant are also edible and can be used in salads, soups, and stir-fries. They have a slightly bitter taste and are rich in vitamins and minerals, making them a nutritious addition to the diet. The plant's flowers can also be used as a garnish or in salads, adding a pop of color and a mild mustard flavor.

In addition to its culinary and medicinal uses, the Wild Mustard Plant has potential applications in biofuel production. Its seeds contain a high percentage of oil, which can be converted into biodiesel. This makes it a valuable crop for sustainable energy production, as it can be grown on marginal lands and does not compete with food crops for resources.

Research is ongoing to explore the potential uses of the Wild Mustard Plant in various industries. For example, its fibers can be used to make paper and textiles, and its extracts can be used in cosmetics and pharmaceuticals. As our understanding of the plant's properties and potential applications continues to grow, it is likely that new uses will be discovered.

🌱 Note: While the Wild Mustard Plant has many potential uses and benefits, it is important to manage it carefully to prevent it from becoming invasive. Always consult with local experts before introducing the plant to new areas.

Wild Mustard Plant and Biodiversity

The Wild Mustard Plant plays a significant role in supporting biodiversity. Its flowers attract a variety of pollinators, including bees, butterflies, and other insects. These pollinators are essential for the reproduction of many plant species, including crops and wildflowers. By providing a food source for pollinators, the Wild Mustard Plant contributes to the health and resilience of ecosystems.

In addition to supporting pollinators, the Wild Mustard Plant provides habitat for various wildlife species. Its dense growth offers shelter and nesting sites for birds and small mammals. The plant's seeds are also a food source for many animals, including birds, rodents, and insects. This makes it an important component of many ecosystems, despite its reputation as a weed.

However, the Wild Mustard Plant's ability to outcompete other plants can also have negative impacts on biodiversity. In areas where it becomes dominant, it can reduce the diversity of plant species and the associated wildlife. This is particularly problematic in natural areas, where the introduction of invasive species can disrupt delicate ecosystems.

To mitigate these impacts, it is important to manage the Wild Mustard Plant carefully, especially in natural areas. This may involve mechanical or chemical control methods, as well as the use of biological control agents. By managing the plant's population, we can help to maintain the health and diversity of ecosystems.

Wild Mustard Plant and Soil Health

The Wild Mustard Plant has several benefits for soil health. Its deep root system helps to break up compacted soil, improving water and nutrient penetration. This can be particularly beneficial in agricultural settings, where soil compaction can be a significant problem. Additionally, the plant's roots can help to prevent erosion by stabilizing the soil and reducing runoff.

The Wild Mustard Plant also contributes to soil fertility through its ability to fix nitrogen. Like other members of the Brassicaceae family, it has the ability to convert atmospheric nitrogen into a form that can be used by plants. This makes it a valuable cover crop, as it can improve soil fertility and reduce the need for synthetic fertilizers.

However, the Wild Mustard Plant's ability to outcompete other plants can also have negative impacts on soil health. In areas where it becomes dominant, it can reduce the diversity of plant species and the associated soil microorganisms. This can lead to a decline in soil health and fertility over time.

To maximize the benefits of the Wild Mustard Plant for soil health, it is important to manage it carefully. This may involve using it as a cover crop in rotation with other crops, or using mechanical or chemical control methods to prevent it from becoming invasive. By managing the plant's population, we can help to maintain the health and fertility of soils.

In addition to its benefits for soil health, the Wild Mustard Plant has potential applications in phytoremediation. Phytoremediation is the use of plants to remove contaminants from soil and water. The Wild Mustard Plant has been shown to have the ability to absorb and accumulate heavy metals, such as lead and cadmium, making it a potential tool for cleaning up contaminated sites.

Research is ongoing to explore the potential uses of the Wild Mustard Plant in phytoremediation. For example, studies have shown that the plant can be used to remove pollutants from soil and water, including pesticides, herbicides, and industrial chemicals. As our understanding of the plant's properties and potential applications continues to grow, it is likely that new uses will be discovered.

🌱 Note: While the Wild Mustard Plant has many potential benefits for soil health, it is important to manage it carefully to prevent it from becoming invasive. Always consult with local experts before introducing the plant to new areas.

Wild Mustard Plant and Human Health

The Wild Mustard Plant has several potential benefits for human health. Its leaves and seeds are rich in vitamins and minerals, making them a nutritious addition to the diet. The plant's anti-inflammatory and antimicrobial properties also make it a valuable addition to herbal remedies.

In traditional medicine, the Wild Mustard Plant has been used to treat a variety of ailments, including respiratory infections, digestive issues, and skin conditions. The plant's seeds are a valuable source of essential fatty acids, which are important for maintaining heart health and reducing inflammation. Additionally, the plant's extracts have been shown to have antioxidant properties, which can help to protect against cell damage and disease.

However, it is important to note that the Wild Mustard Plant can also have negative impacts on human health. The plant contains glucosinolates, which can be converted into goitrogens when consumed in large amounts. Goitrogens can interfere with thyroid function and may be harmful to individuals with thyroid conditions. Additionally, the plant's seeds can cause allergic reactions in some individuals.

To maximize the benefits of the Wild Mustard Plant for human health, it is important to consume it in moderation and to be aware of any potential allergic reactions. Always consult with a healthcare provider before using the plant for medicinal purposes.

In addition to its potential benefits for human health, the Wild Mustard Plant has potential applications in the cosmetics industry. Its extracts can be used in skincare products, where they can help to soothe and protect the skin. The plant's anti-inflammatory and antimicrobial properties make it a valuable addition to natural skincare formulations.

Research is ongoing to explore the potential uses of the Wild Mustard Plant in the cosmetics industry. For example, studies have shown that the plant's extracts can help to reduce inflammation and redness, making them a valuable addition to anti-aging and acne treatments. As our understanding of the plant's properties and potential applications continues to grow, it is likely that new uses will be discovered.

🌱 Note: While the Wild Mustard Plant has many potential benefits for human health, it is important to consume it in moderation and to be aware of any potential allergic reactions. Always consult with a healthcare provider before using the plant for medicinal purposes.

Wild Mustard Plant and Climate Change

The Wild Mustard Plant has several potential benefits for mitigating the impacts of climate change. Its ability to fix nitrogen and improve soil health can help to reduce the need for synthetic fertilizers, which are a significant source of greenhouse gas emissions. Additionally, the plant's deep root system can help to sequester carbon from the atmosphere, reducing the amount of carbon dioxide in the air.

The Wild Mustard Plant's ability to outcompete other plants can also have negative impacts on climate change. In areas where it becomes dominant, it can reduce the diversity of plant species and the associated soil microorganisms. This can lead to a decline in soil health and fertility over time, making it more difficult for other plants to grow and sequester carbon.

To maximize the benefits of the Wild Mustard Plant for mitigating the impacts of climate change, it is important to manage it carefully. This may involve using it as a cover crop in rotation with other crops, or using mechanical or chemical control methods to prevent it from becoming invasive. By managing the plant's population, we can help to maintain the health and fertility of soils and reduce the need for synthetic fertilizers.

In addition to its benefits for mitigating the impacts of climate change, the Wild Mustard Plant has potential applications in biofuel production. Its seeds contain a high percentage of oil, which can be converted into biodiesel. This makes it a valuable crop for sustainable energy production, as it can be grown on marginal lands and does not compete with food crops for resources.

Research is ongoing to explore the potential uses of the Wild Mustard Plant in biofuel production. For example, studies have shown that the plant can be used to produce biodiesel with a high energy content and low emissions. As our understanding of the plant's properties and potential applications continues to grow, it is likely that new uses will be discovered.

🌱 Note: While the Wild Mustard Plant has many potential benefits for mitigating the impacts of climate change, it is important to manage it carefully to prevent it from becoming invasive. Always consult with local experts before introducing the plant to new areas.

Wild Mustard Plant and Agriculture

The Wild Mustard Plant is a common weed in agricultural settings, where it can compete with crops for resources and reduce yields. However, it also has several potential benefits for agriculture. Its ability to fix nitrogen and improve soil health can help to reduce the need for synthetic fertilizers, which are a significant source of greenhouse gas emissions. Additionally, the plant's deep root system can help to sequester carbon from the atmosphere, reducing the amount of carbon dioxide in the air.

The Wild Mustard Plant's ability to outcompete other plants can also have negative impacts on agriculture. In areas where it becomes dominant, it can reduce the diversity of plant species and the associated soil microorganisms. This can lead to a decline in soil health and fertility over time, making it more difficult for crops to grow and produce yields.

To maximize the benefits of the Wild Mustard Plant for agriculture, it is important to manage it carefully. This may involve using it as a cover crop in rotation with other crops, or using mechanical or chemical control methods to prevent it from becoming invasive. By managing the plant's population, we can help to maintain the health and fertility of soils and reduce the need for synthetic fertilizers.

In addition to its benefits for agriculture, the Wild Mustard Plant has potential applications in integrated pest management (IPM) strategies. Its ability to attract beneficial insects, such as pollinators and natural predators, can help to control pest populations and reduce the need for chemical pesticides. Additionally, the plant's extracts can be used to repel pests and reduce crop damage.

Research is ongoing to explore the potential uses of the Wild Mustard Plant in IPM strategies. For example, studies have shown that the plant's extracts can be used to repel pests, such as aphids and whiteflies, and reduce crop damage. As our understanding of the plant's properties and potential applications continues to grow, it is likely that new uses will be discovered.

🌱 Note: While the Wild Mustard Plant has many potential benefits for agriculture, it is important to manage it carefully to prevent it from becoming invasive. Always consult with local experts before introducing the plant to new areas.

Wild Mustard Plant and Wildlife

The Wild Mustard Plant provides habitat and food for various wildlife species. Its dense growth offers shelter and nesting sites for birds and small mammals. The plant's seeds are also a food source for many animals, including birds, rodents, and insects. This makes it an important component of many ecosystems, despite its reputation as a weed.

However, the Wild Mustard Plant's ability to outcompete other plants can also have negative impacts on wildlife. In areas where it becomes dominant, it can reduce the diversity of plant species and the associated wildlife. This is particularly problematic in natural areas, where the introduction of invasive species can disrupt delicate ecosystems.

To mitigate these impacts, it is important to manage the Wild Mustard Plant carefully, especially in natural areas. This may involve mechanical or chemical control methods, as well as the use of biological control agents. By managing the plant's population, we can help to maintain the health and diversity of ecosystems.

In addition to its benefits for wildlife, the Wild Mustard Plant has potential applications in wildlife conservation. Its ability to attract beneficial insects, such as pollinators and natural predators, can help to control pest populations and reduce the need for chemical pesticides. Additionally, the plant's extracts can be used to repel pests and reduce crop damage, which can benefit wildlife by reducing the use of harmful chemicals in the environment.

Research is ongoing to explore the potential uses of the Wild Mustard Plant in wildlife conservation. For example, studies have shown that the plant's extracts can be used to repel pests, such as aphids and whiteflies, and reduce crop damage. As our understanding of the plant's properties and potential applications continues to grow, it is likely that new uses will be discovered.

🌱 Note: While the Wild Mustard Plant has many potential benefits for wildlife, it is important to manage it carefully to prevent it from becoming invasive. Always consult with local experts before introducing the plant to new areas.

Wild Mustard Plant and Human Interactions

The Wild Mustard Plant has a long history of interactions with humans. In ancient times, it was cultivated for its edible seeds, which were used to make mustard condiments. The seeds were ground into a paste and mixed with vinegar or wine to create a pungent sauce that was used to flavor food. This practice continues in some regions today, where wild mustard seeds are still harvested and used to make traditional mustard.

In traditional medicine, the Wild Mustard Plant has been used for its medicinal properties. The leaves and seeds are rich in vitamins and minerals, and they have been used to treat a variety of ailments, including respiratory infections, digestive issues, and skin conditions. The plant's anti-inflammatory and antimicrobial properties make it a valuable addition to herbal remedies.

In some cultures, the Wild Mustard Plant is also used in rituals and ceremonies. For example, in ancient Greece, mustard seeds were used in purification rituals, and in some Native American traditions, the plant is used in healing ceremonies. Its symbolic significance varies across cultures, but it is often associated with strength, resilience, and purification

Related Terms:

  • wild mustard plant brassica oleracea
  • wild mustard plant vegetables
  • wild mustard leaves
  • wild mustard plant broccoli
  • is wild mustard poisonous
  • wild mustard weed identification
Facebook Twitter WhatsApp
Related Posts
Don't Miss