Learning

Gnats On Indoor Plants

Gnats On Indoor Plants
Gnats On Indoor Plants

Indoor plants bring life and vibrancy to any space, but they can also attract unwanted pests, particularly gnats. Gnats on indoor plants can be a nuisance, but with the right knowledge and strategies, you can effectively manage and eliminate them. This guide will walk you through identifying, preventing, and treating gnat infestations on your indoor plants.

Identifying Gnats on Indoor Plants

Gnats are small, flying insects that are often attracted to the moist soil of indoor plants. They are particularly drawn to overwatered plants and can quickly become a problem if left unchecked. There are several types of gnats that commonly infest indoor plants, including fungus gnats and fruit flies.

Fungus gnats are small, dark-colored flies that are often seen hovering around the soil of indoor plants. They lay their eggs in the moist soil, and the larvae feed on the organic matter and plant roots. Fruit flies, on the other hand, are attracted to ripe or overripe fruit and can also infest indoor plants if there is decaying organic matter present.

Preventing Gnats on Indoor Plants

Prevention is key when it comes to managing gnats on indoor plants. Here are some effective strategies to keep gnats at bay:

  • Avoid Overwatering: Gnats thrive in moist environments, so it's important to avoid overwatering your plants. Allow the top inch or two of soil to dry out between waterings to create an environment that is less hospitable to gnats.
  • Use Well-Draining Soil: Ensure that your plants are potted in well-draining soil to prevent waterlogging, which can attract gnats.
  • Remove Decaying Organic Matter: Regularly remove any decaying leaves, stems, or other organic matter from the soil surface to eliminate potential food sources for gnats.
  • Cover Soil with Gravel or Sand: Covering the soil surface with a layer of gravel or sand can help deter gnats from laying their eggs in the soil.
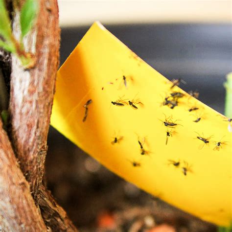
  • Use Yellow Sticky Traps: Place yellow sticky traps near your plants to catch adult gnats. These traps are effective at monitoring gnat populations and can help reduce their numbers.

Treating Gnats on Indoor Plants

If you already have a gnat infestation, don't worry—there are several effective treatments you can use to eliminate them. Here are some methods to consider:

Natural Remedies

Natural remedies can be an effective and eco-friendly way to treat gnats on indoor plants. Some popular natural remedies include:

  • Apple Cider Vinegar Trap: Mix apple cider vinegar with a few drops of dish soap in a small bowl. Place the bowl near the infested plant, and the gnats will be attracted to the vinegar but will get trapped in the soap.
  • Hydrogen Peroxide: Mix one part 3% hydrogen peroxide with four parts water and gently pour the solution over the soil. This will kill the gnat larvae without harming the plant.
  • Neem Oil: Dilute neem oil according to the package instructions and spray it on the soil and plant leaves. Neem oil is a natural insecticide that can help control gnat populations.

Chemical Treatments

If natural remedies are not effective, you may need to resort to chemical treatments. Some common chemical treatments for gnats include:

  • Insecticidal Soap: Spray insecticidal soap directly on the soil and plant leaves to kill adult gnats and larvae.
  • Pyrethrin: Pyrethrin is a natural insecticide derived from chrysanthemum flowers. It can be effective at killing gnats but should be used with caution as it can be harmful to pets and humans.
  • Imidacloprid: Imidacloprid is a systemic insecticide that can be applied to the soil. It is absorbed by the plant and kills gnats that feed on the plant roots.

Long-Term Management of Gnats on Indoor Plants

Long-term management of gnats on indoor plants involves a combination of prevention and treatment strategies. Here are some tips for maintaining a gnat-free environment:

  • Regular Monitoring: Regularly monitor your plants for signs of gnat infestations. Early detection can help prevent a small problem from becoming a major issue.
  • Rotate Plants: Rotate your plants regularly to ensure that all sides of the plant receive adequate light and air circulation. This can help prevent the buildup of moisture and organic matter that attracts gnats.
  • Maintain Cleanliness: Keep your plant area clean and free of debris. Regularly wipe down surfaces and remove any spilled water or plant material.
  • Use Beneficial Insects: Introduce beneficial insects, such as predatory mites or nematodes, to your plant area. These insects feed on gnat larvae and can help control gnat populations naturally.

📝 Note: Always follow the instructions on any chemical treatments carefully to ensure the safety of your plants, pets, and family.

Gnats on indoor plants can be a frustrating problem, but with the right knowledge and strategies, you can effectively manage and eliminate them. By following the prevention and treatment methods outlined in this guide, you can keep your indoor plants healthy and gnat-free.

In summary, identifying and treating gnats on indoor plants involves understanding the types of gnats, implementing prevention strategies, and using effective treatments. Regular monitoring and maintenance are key to long-term management. By taking proactive steps, you can enjoy your indoor plants without the hassle of gnat infestations.

Related Terms:

  • what kills gnats in houseplants
  • how to kill houseplant gnats
  • indoor plants that attract gnats
  • do house plants attract gnats
  • do gnats kill houseplants
Facebook Twitter WhatsApp
Related Posts
Don't Miss