Learning

Canine Intervertebral Disc Disease

Canine Intervertebral Disc Disease
Canine Intervertebral Disc Disease

Canine Intervertebral Disc Disease (IVDD) is a common and often debilitating condition affecting dogs, particularly those with long backs and short legs, such as Dachshunds, Beagles, and Basset Hounds. This condition occurs when the discs between the vertebrae in the spine degenerate or rupture, leading to compression of the spinal cord and potential neurological issues. Understanding the causes, symptoms, diagnosis, and treatment options for Canine Intervertebral Disc Disease is crucial for pet owners to ensure the best possible care for their furry companions.

Understanding Canine Intervertebral Disc Disease

Canine Intervertebral Disc Disease is a progressive condition that can significantly impact a dog's quality of life. The intervertebral discs act as shock absorbers between the vertebrae, providing cushioning and flexibility to the spine. Over time, these discs can degenerate, leading to a condition known as degenerative disc disease. In some cases, the discs may rupture, causing sudden and severe pain and neurological deficits. This is known as Hansen Type I IVDD, which is more common in chondrodystrophic breeds like Dachshunds. Hansen Type II IVDD, on the other hand, is characterized by a gradual degeneration of the discs and is more common in non-chondrodystrophic breeds.

Causes of Canine Intervertebral Disc Disease

The exact causes of Canine Intervertebral Disc Disease are not fully understood, but several factors are believed to contribute to its development:

  • Genetics: Certain breeds are predisposed to IVDD due to their genetic makeup. Breeds with long backs and short legs are particularly at risk.
  • Aging: As dogs age, their intervertebral discs naturally degenerate, increasing the risk of IVDD.
  • Obesity: Excess weight can put additional strain on the spine, accelerating the degeneration of the discs.
  • Trauma: Injuries or sudden impacts can cause the discs to rupture, leading to acute IVDD.
  • Lifestyle: Activities that involve jumping, climbing stairs, or other high-impact movements can exacerbate the condition.

Symptoms of Canine Intervertebral Disc Disease

The symptoms of Canine Intervertebral Disc Disease can vary depending on the severity and location of the disc damage. Common symptoms include:

  • Pain: Dogs may exhibit signs of pain, such as whimpering, reluctance to move, or aggression when touched.
  • Lameness: Limping or difficulty walking, especially in the hind legs.
  • Neurological deficits: Weakness, paralysis, or loss of coordination in the limbs.
  • Loss of bladder or bowel control: In severe cases, dogs may lose control of their bladder or bowels.
  • Changes in behavior: Dogs may become lethargic, anxious, or exhibit other behavioral changes.

If you notice any of these symptoms in your dog, it is essential to consult a veterinarian promptly for a proper diagnosis and treatment plan.

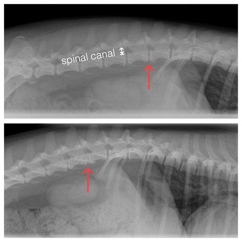
Diagnosing Canine Intervertebral Disc Disease

Diagnosing Canine Intervertebral Disc Disease involves a combination of physical examination, medical history, and diagnostic tests. The veterinarian will perform a thorough neurological examination to assess the dog's reflexes, muscle tone, and coordination. Additional diagnostic tests may include:

  • X-rays: To visualize the spine and identify any abnormalities or fractures.
  • MRI or CT scan: For a more detailed view of the spinal cord and intervertebral discs.
  • Myelogram: A dye is injected into the spinal canal to highlight any compression or narrowing.

Based on the findings, the veterinarian will determine the severity of the condition and develop an appropriate treatment plan.

Treatment Options for Canine Intervertebral Disc Disease

The treatment for Canine Intervertebral Disc Disease depends on the severity of the condition and the dog's overall health. Treatment options range from conservative management to surgical intervention.

Conservative Management

For mild to moderate cases of IVDD, conservative management may be sufficient. This approach focuses on reducing inflammation, managing pain, and promoting healing. Conservative management may include:

  • Rest: Strict rest and confinement to a small area to minimize movement and reduce the risk of further injury.
  • Medications: Non-steroidal anti-inflammatory drugs (NSAIDs), pain relievers, and muscle relaxants to manage pain and inflammation.
  • Physical therapy: Gentle exercises and massage to improve mobility and strengthen the muscles supporting the spine.
  • Weight management: Maintaining a healthy weight to reduce strain on the spine.

Conservative management typically requires close monitoring and follow-up with the veterinarian to assess the dog's progress and adjust the treatment plan as needed.

Surgical Intervention

In severe cases of Canine Intervertebral Disc Disease, surgical intervention may be necessary to relieve pressure on the spinal cord and promote healing. Common surgical procedures include:

  • Hemilaminectomy: Removal of a portion of the vertebra to access and decompress the spinal cord.
  • Ventral slot: A surgical approach from the underside of the spine to remove the damaged disc material.
  • Dorsal laminectomy: Removal of a portion of the vertebra from the top to access and decompress the spinal cord.

Surgical intervention is typically followed by a period of strict rest and rehabilitation to promote healing and restore mobility.

πŸ“ Note: The decision to pursue surgical intervention should be made in consultation with a veterinarian, considering the dog's overall health, the severity of the condition, and the potential risks and benefits of surgery.

Preventing Canine Intervertebral Disc Disease

While Canine Intervertebral Disc Disease cannot always be prevented, there are several steps pet owners can take to reduce the risk and promote spinal health:

  • Maintain a healthy weight: Keeping your dog at a healthy weight can reduce strain on the spine and lower the risk of IVDD.
  • Regular exercise: Engage your dog in regular, low-impact exercise to strengthen the muscles supporting the spine.
  • Avoid high-impact activities: Limit activities that involve jumping, climbing stairs, or other high-impact movements.
  • Provide a supportive environment: Use ramps or steps to help your dog access elevated surfaces, and provide a comfortable, supportive bed.
  • Regular veterinary check-ups: Schedule regular check-ups with your veterinarian to monitor your dog's spinal health and detect any issues early.

Living with a Dog with Canine Intervertebral Disc Disease

Living with a dog diagnosed with Canine Intervertebral Disc Disease requires patience, understanding, and a commitment to providing the best possible care. Here are some tips for managing your dog's condition and improving their quality of life:

  • Follow the treatment plan: Work closely with your veterinarian to develop and follow a treatment plan tailored to your dog's needs.
  • Provide a comfortable environment: Create a comfortable and supportive environment for your dog, with easy access to food, water, and a cozy bed.
  • Monitor for changes: Keep a close eye on your dog's symptoms and report any changes to your veterinarian promptly.
  • Engage in gentle exercise: Encourage gentle exercise and physical therapy to improve mobility and strengthen the muscles supporting the spine.
  • Maintain a positive attitude: Stay positive and patient, as recovery can take time, and setbacks may occur.

With proper care and management, many dogs with Canine Intervertebral Disc Disease can lead happy and fulfilling lives.

Canine Intervertebral Disc Disease is a challenging condition that requires vigilance, patience, and a commitment to providing the best possible care. By understanding the causes, symptoms, diagnosis, and treatment options for IVDD, pet owners can take proactive steps to manage their dog’s condition and improve their quality of life. Regular veterinary check-ups, a healthy lifestyle, and a supportive environment are essential for promoting spinal health and preventing the progression of IVDD. With the right care and management, many dogs with Canine Intervertebral Disc Disease can continue to enjoy a happy and active life.

Related Terms:

  • disc disease in dogs treatment
  • ivdd in senior dogs
  • is ivdd painful for dogs
  • dog with disc problems
  • bulging disc in dogs
  • dogs with degenerative disc disease
Facebook Twitter WhatsApp
Related Posts
Don't Miss